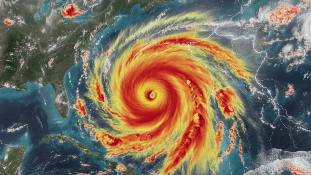
O furacão Melissa, uma das tempestades mais poderosas do Atlântico em 2025, provocou destruição significativa na Jamaica e seguiu em direção a Cuba, trazendo ventos extremos, chuvas torrenciais e inundações catastróficas. Com força inicialmente de categoria 5, a tempestade atingiu a Jamaica com ventos de cerca de 300 km/h, considerada a tempestade do século no país, antes de atingir Cuba como categoria 3.
Apesar da redução na intensidade, os impactos permanecem severos, com milhares de pessoas evacuadas e danos generalizados à infraestrutura.
- Evacuação em massa: mais de 735 mil cubanos foram retirados de áreas de risco;
- Ventos extremos: 195 km/h em Santiago de Cuba, com rajadas de até 165 km/h horas depois;
- Chuvas e marés: precipitação de até 51 cm e marés de tempestade de 3,6 metros;
- Impacto humano: milhões afetados, cortes de energia, casas e ruas inundadas;
- Riscos contínuos: deslizamentos de terra e inundações repentinas permanecem como ameaça.
Rastros de destruição na Jamaica

Na Jamaica, Melissa chegou como um furacão categoria 5, devastando a ilha em poucas horas. Estruturas residenciais, comerciais e hospitalares sofreram danos severos. Cerca de 1,5 milhão de pessoas foram afetadas, com pelo menos três mortes confirmadas. Deslizamentos de terra, quedas de árvores e apagões comprometeram a logística de socorro, enquanto autoridades emitiram alertas sobre marés de até 4 metros ao longo da costa.
As consequências são amplas:
- Interrupção de energia elétrica em mais de 500 mil residências;
- Inundações significativas em regiões como St. Elizabeth;
- Danos irreparáveis à infraestrutura rodoviária e hospitalar.
O furacão Melissa foi classificado como o mais forte a atingir a Jamaica em 174 anos de registros, superando tempestades históricas como Wilma (2005) e Gilbert (1988).
Cuba enfrenta a força da tempestade
Após atravessar a Jamaica, Melissa chegou a Santiago de Cuba com ventos de 195 km/h, provocando inundações em ruas e residências. A tempestade afetou diversas províncias, incluindo Granma, Guantánamo, Holguín e Las Tunas, onde foram implementadas evacuações preventivas. A precipitação intensa e o risco de deslizamentos de terra seguem altos, exigindo atenção contínua da população.

As autoridades cubanas reforçaram medidas emergenciais, garantindo abrigo seguro, recursos de socorro e monitoramento constante de áreas de risco. O avanço do furacão em direção às Bahamas mantém alertas ativos, enquanto equipes de emergência se preparam para a continuidade da tempestade.
Preparação e impactos futuros
A passagem do furacão Melissa evidencia a importância de planos de evacuação, alertas meteorológicos e infraestrutura resiliente em regiões vulneráveis. Chuvas intensas, marés elevadas e ventos extremos permanecem ameaças constantes, e especialistas destacam que a recuperação será lenta e complexa, especialmente em áreas densamente povoadas.
O furacão reforça a necessidade de prevenção e resposta rápida, assim como o monitoramento contínuo das condições climáticas no Caribe, onde eventos extremos estão se tornando mais frequentes devido às mudanças climáticas.

